
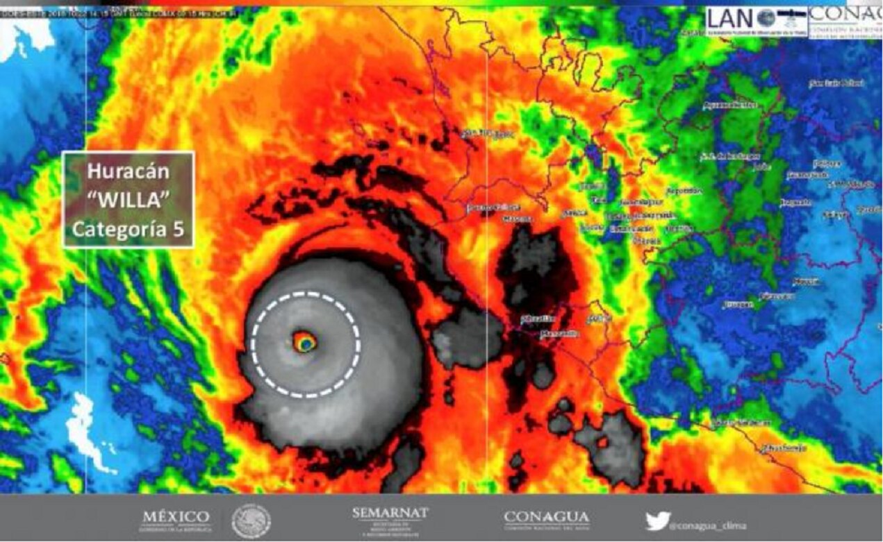
El ciclón se localiza a 215 kilómetros al suroeste de Cabo Corrientes, Jalisco y a 280 kilómetros al sur-suroeste de las Islas Marías
14 / noviembre / 2025 | 19:48 hrs.

El ciclón se localiza a 215 kilómetros al suroeste de Cabo Corrientes, Jalisco y a 280 kilómetros al sur-suroeste de las Islas Marías

Se refuerza el potencial de tormentas de muy fuertes a intensas en Nayarit, Jalisco y Colima, y de lluvias con intervalos de chubascos en Baja California Sur, de acuerdo con el organismo

Los estado afectados serán Nayarit, Jalisco, Colima y Michoacán; se advierte sobre deslaves o desbordamientos de ríos en las zonas afectadas por las lluvias pasadas

El SMN informó que el meteoro se localiza a 980 km al sur-suroeste de Cabo San Lucas, en Baja California Sur

Por temporal de lluvias, evento de Norte y Frente Frío, dijo; pronostican temperaturas de 0 a 5 grados Celsius

Un nuevo frente frío ingresará al norte y noreste del país y provocará un nuevo descenso de la temperatura

El astronauta de la NASA Randy Bresnik ha difundido en Twitter fotografías tomadas desde 400 kilómetros de altitud

El SMN informó que esta noche se esperan temperaturas menores a cinco grados Celsius en zonas montañosas de BC, Sonora, Chihuahua, Coahuila, NL, Zacatecas, Durango, Guanajuato, Michoacán, Edomex, Tlaxcala, Puebla, Veracruz e Hidalgo

El fenómeno climático se ubicaba a las 07:15 horas a 150 kilómetros al sur de Bahías de Huatulco y a 160 kilómetros al sur-sureste de Puerto Ángel, en Oaxaca

El nuevo linebacker de Oakland tiene altas expectativas