
Deportes05/12/2018
Leyendas se unen por Nayarit
Ex jugadores de Gallos Blancos y América se medirán el 22 de diciembre

En tanto, la tormenta tropical "Vicente", también en el Pacífico mexicano, se encuentra a 245 kilómetros al sur de Zihuatanejo, Guerrero, y a 500 kilómetros al sureste de Manzanillo, Colima

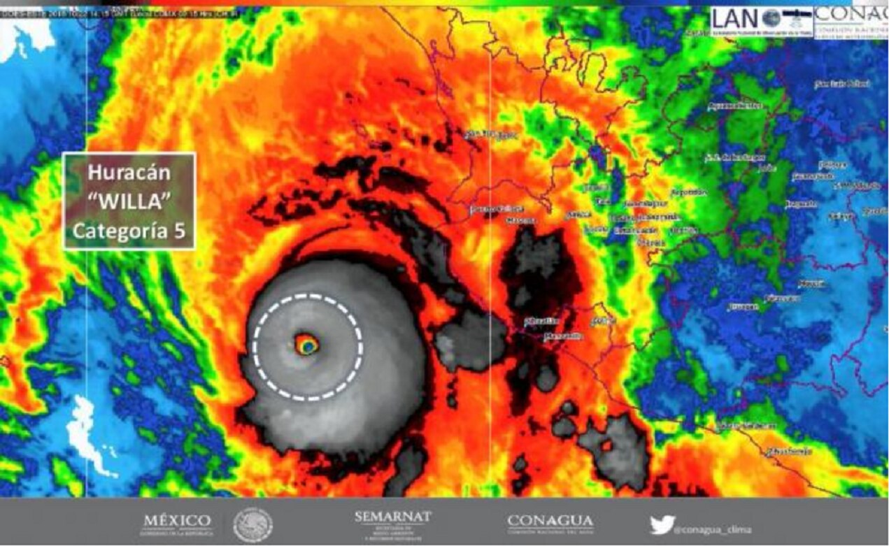
El ciclón se localiza a 215 kilómetros al suroeste de Cabo Corrientes, Jalisco y a 280 kilómetros al sur-suroeste de las Islas Marías






















